CHÍNH CHỦ CẦN BÁN LÔ ĐẤT THỔ CƯ TẠI XÓM CỔNG ĐẤT ,XÃ HOA ĐỘNG ,HUYỆN THỦY NGUYÊN ,HẢI PHÒNG

Bán đất - Centa City Hải Phòng - Huyện Thủy Nguyên - Hải Phòng

Đặc điểm bất động sản

Giá
Thỏa thuận
Diện tích
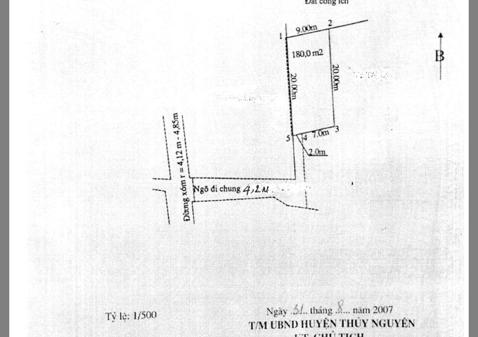
180 m²
  • 16048129
    ID
  • 15/07
    2020
    Ngày đăng
  • 15/10
    2020
    Hết hạn
  • KXĐ
    Hướng nhà
  • 1
    Số phòng
  • 1
    Số toilet
  • CHÍNH CHỦ CẦN BÁN LÔ ĐẤT THỔ CƯ TẠI XÓM CỔNG ĐẤT ,XÃ HOA ĐỘNG ,HUYỆN THỦY NGUYÊN ,HẢI PHÒNG

Thông tin chi tiết

Chính chủ cần bán lô đất Thổ cư tại Xóm Cổng Đất ,Xã Hoa Động ,Huyện Thủy nguyên ,Hải Phòng

- Diện tích : 180 M2
- Nguồn gốc đất : Sổ đỏ nhà nước công nhận quyền sử dụng đất
- Ai có nhu cầu đầu tư ,tích trữ , … Xây dựng nhà cửa … chủ động liên hệ chính chủ để được báo giá chuẩn nhất đạt tiêu chí Ngon ,Bổ ,Rẻ

- Gần đường thuận tiện đi lại, an ninh tốt.
- Dân cư hiện hữu.
- Chính chủ,pháp lý đầy đủ.
⇔ Liên hệ: 0983464643 !

chi tiết : http://infonhadat.com.vn/chinh-chu-can-ban-lo-dat-tho-cu-tai-xom-cong-dat-xa-hoa-dong-huyen-thuy-nguyen-hai-phong-j28536.html

bản đồ

Liên hệ

0983464643

0983464643 - 0983464643

--

Xã Hoa Động - Huyện Thuỷ Nguyên - Hải Phòng

Bán đất theo dự án tại huyện Thủy Nguyên

Tin đã lưu

Xóa tất cả
Tin đã lưu