Chính chủ cần bán đất thổ cư nở hậu tại Phường Thới An, Quận 12

Bán đất - Đường 1 - Quận 12 - Hồ Chí Minh

Đặc điểm bất động sản

Giá
5.2 Tỷ
Diện tích
85 m²
  • 21341155
    ID
  • 26/07
    2025
    Ngày đăng
  • 26/10
    2025
    Hết hạn
  • 4.5 m
    Đường vào
  • KXĐ
    Hướng nhà
  • Chính chủ cần bán đất thổ cư nở hậu tại Phường Thới An, Quận 12
  • Chính chủ cần bán đất thổ cư nở hậu tại Phường Thới An, Quận 12
  • Chính chủ cần bán đất thổ cư nở hậu tại Phường Thới An, Quận 12
  • Chính chủ cần bán đất thổ cư nở hậu tại Phường Thới An, Quận 12

Thông tin chi tiết

Chính chủ cần bán đất thổ cư nở hậu tại Phường Thới An, Quận 12
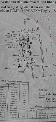
-Diện tích công nhận 85m², đất thổ cư, đã có sổ, hẻm xe hơi vào tận nơi.-Cách mặt tiền đường Lê Thị Riêng chỉ 5m, khu vực đã có quy hoạch rõ ràng, sau giải tỏa thành đất hai mặt tiền cực kỳ tiềm năng.
-Vị trí đẹp, dân cư đông đúc, giao thông thuận tiện.-Tiện ích xung quanh đầy đủ: gần chợ, siêu thị, trường học, bệnh viện....-Giao thông thuận tiện các hướng
Pháp lý rõ ràng, sang tên nhanh gọnGiá bán: 5,2 tỷ (chỉ 61,18 triệu/m² – thấp hơn mặt bằng chung khu vực).
Liên hệ chính chủ: 0912 767 888 để xem đất và thương lượng trực tiếp.

bản đồ

Liên hệ

Liên hệ chính chủ

0912767888 - 0912767888

[email protected]

48 nguyễn trãi - thanh xuân

Tin đã lưu

Xóa tất cả
Tin đã lưu