Lô đất siêu VIP (8.6x55) Mặt Tiền Lê Thị Riêng, Thới An, Quận 12 Chỉ 55 triệu/m²

Đặc điểm bất động sản

Giá
37 Tỷ
Diện tích
489 m²
  • 21256974
    ID
  • 04/07
    2025
    Ngày đăng
  • 29/08
    2025
    Hết hạn
  • 8.6 m
    Mặt tiền
  • 15 m
    Đường vào
  • KXĐ
    Hướng nhà
  • Lô đất siêu VIP (8.6x55) Mặt Tiền Lê Thị Riêng, Thới An, Quận 12 Chỉ 55 triệu/m²
  • Lô đất siêu VIP (8.6x55) Mặt Tiền Lê Thị Riêng, Thới An, Quận 12 Chỉ 55 triệu/m²
  • Lô đất siêu VIP (8.6x55) Mặt Tiền Lê Thị Riêng, Thới An, Quận 12 Chỉ 55 triệu/m²

Thông tin chi tiết

MẶT TIỀN LÊ THỊ RIÊNG = GIÁ HẺM⛔️
Lô đất siêu VIP (8.6x55) Mặt Tiền Lê Thị Riêng, Thới An, Quận 12 Chỉ 55 triệu/m²
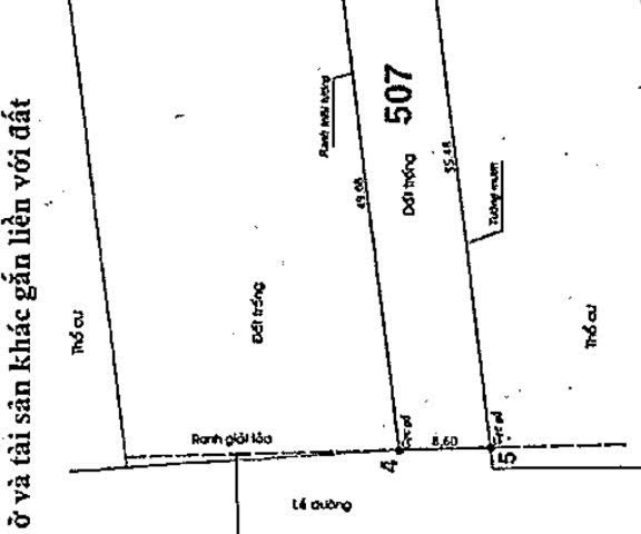
DT: (8.6m x 55m), nở hậu 12m, Công nhận 489m2. Full thổ cư, sổ hồng riêng chuẩn pháp lý
Đường 30m vỉa hè 9m
Thích hợp xây tòa nhà văn phòng, khách sạn, căn hộ dịch vụ, …
Giá bán: 37 Tỷ (TL)
Gọi ngay cho Ms Mỹ - Chuyên Nhà Phố và Đất Nền Chính Chủ‼️ ‼️
ACE quan tâm liên hệ: 0909.805.456 Ms Mỹ N.H.À T.Ố.T trực tiếp chủ!

bản đồ

Liên hệ

Nguyễn Toàn

0909805456 - 0909805456

[email protected]

quận 12

Tin đã lưu

Xóa tất cả
Tin đã lưu